
China Doll Plant
Radermachera sinica
Asian Bell Tree, Serpent Tree, Emerald Tree
China Doll Plant is a fast-growing indoor tree with delicate, glossy leaflets and a strong reaction to stress. Learn how to keep it bright, evenly moist, and full instead of sparse.
π China Doll Plant Care Notes
πΏ Care Instructions
β οΈ Common Pests
π Growth Information
πͺ΄ In This Guide πͺ΄
βοΈ China Doll Plant Light Requirements (Indoor Lighting Guide)

Best Light for China Doll Plant
China Doll Plant wants bright, indirect light for most of the day. That is the core rule, and it is the one that keeps the plant compact, leafy, and much less dramatic about life.
An east-facing window is excellent. A west- or south-facing window can also work well if the plant is pulled back a bit or filtered through a sheer curtain. The goal is strong light without harsh direct exposure for hours at a time.
If you place it too far from a window, the plant will usually tell you within a few weeks. Internodes stretch, lower leaves thin out, and the overall shape becomes open and flimsy. That is the classic leggy growth look, and it almost always means the light is weak.
For a broader look at indoor lighting, our Houseplant Light Guide explains how to read the light in your home before you decide where this tree belongs.
Why China Doll Plant Needs Bright Light
This plant is a fast grower, and fast growth costs energy. Bright light helps it keep the foliage dense instead of letting the stems stretch to chase the nearest window.
The other thing bright light does is stabilize the plant a bit. A China Doll Plant in a dim room is more likely to stall, drop older leaflets, and become less forgiving when watering is off. Bright, filtered light gives you a larger margin for error.
If your space is naturally dim, a grow light is often the better fix than hoping the plant will adapt. This is not a true low-light tree. It can survive lower light, but survival is not the same thing as looking good.

- Too little light: Longer gaps between leaves, slower growth, lighter green foliage, and more leaf drop from the lower stems.
- Too much direct sun: Leaf tips can bleach, curl, or look dry and papery, especially if the plant moved from shade into stronger light too quickly.
- Best outcome: Compact stems, deep green color, and a full canopy that holds its shape without needing constant pruning.
- Best spots: Bright east window, filtered south window, or a bright room with the plant a few feet back from glass.
- Avoid: Dark corners, hallway shelves, and windows with strong hot afternoon sun unless a curtain is filtering the beam.
If you are unsure about a window, move the plant closer for a week and watch the response. China Doll Plant is usually more honest than subtle.

π§ China Doll Plant Watering Guide (How to Water Properly)

The Right Watering Rhythm for China Doll Plant
China Doll Plant likes moisture that is steady, not swampy. The soil should be lightly and evenly moist most of the time, then allowed to dry just a little in the top layer before you water again.
That makes this plant different from a cactus and also different from many ficus trees. You do not want to swing from bone dry to soaked and back again. Repeated extremes are one of the fastest ways to trigger leaf drop.
In a typical home, that often works out to watering roughly once a week during spring and summer, then less often in winter. But the calendar is only a rough guide. The pot, light, temperature, and mix all matter.
A moisture meter can help if you tend to overthink it. So can a finger test. If the top 1-2 inches feel dry but the deeper soil still has a little moisture, that is usually the right time.
How to Water China Doll Plant Without Triggering Problems
Water thoroughly until liquid drains from the bottom, then empty the saucer. You want the roots to get a real drink, not a shallow sip.
Do not keep the plant in standing water. The roots need oxygen, and soggy soil cuts that off fast. Once root damage starts, the plant often answers with yellowing foliage and a quick collapse in vigor.
If you water from the top, go slowly so the entire root ball absorbs moisture. If the mix has gone a bit dry, it can take a second pass to fully rehydrate. That is normal.
For general watering technique, the Houseplant Watering Guide is worth keeping open if you are new to this rhythm.

- Underwatering: Leaves droop, leaflets look thinner, the plant feels limp, and lower foliage may dry or shed first.
- Overwatering: Yellow leaves, soft stems, a sour smell from the soil, and a plant that stays limp even though the mix is wet.
- Severe overwatering: This is when root rot becomes likely. The plant may shed leaves rapidly and stop taking up water.
- Consistency clue: If the plant alternates between crisp and saturated, it is usually being watered on a schedule instead of by soil check.
If the plant is drooping while the soil is wet, do not water again. That is usually a root problem, not a thirst problem.
Seasonal Watering for China Doll Plant
- Spring: Growth starts up, so watering usually increases. The plant often needs the most regular attention here.
- Summer: Bright light and warmth can make the soil dry faster. Check more often, especially in terracotta.
- Fall: Growth slows, so back off gradually rather than suddenly.
- Winter: The plant still wants even moisture, but it will usually need water less often than it did in summer.
The season matters, but the root ball matters more. A warm room with dry air can make winter watering look a lot like summer watering.
πͺ΄ Best Soil for China Doll Plant (Potting Mix & Drainage)
What Kind of Soil China Doll Plant Likes
This plant wants a rich mix that drains well but still holds some moisture. Think airy, not sandy. Think consistent, not compacted.
A good starting point is a high-quality indoor potting mix with extra perlite or pumice mixed in. The goal is to create enough pore space that water moves through the pot instead of sitting around the roots.
For the underlying potting principles, our Soil Guide is a useful companion. The China Doll Plant is not especially happy in dense, muddy media.
Simple DIY Mix for China Doll Plant
A reliable blend is:
- 2 parts quality potting soil
- 1 part perlite or pumice
- 1 part fine orchid bark or coco chips
That mix holds moisture more evenly than straight cactus soil, but it still opens up the root zone enough to avoid suffocation. If your home runs dry, lean a little heavier on the moisture-holding side. If it runs cool and humid, add more perlite.
The pot should have drainage holes. That sounds basic, but this plant is not a fan of guesswork, and sitting water at the bottom of a pot will push it toward rot quickly.
Pot Choice and Drainage for China Doll Plant
Terracotta works well because it helps the mix dry more evenly. Plastic is fine too if you are careful with watering and the mix is airy enough.
Choose a pot only slightly larger than the root ball. A pot that is too large leaves too much extra wet soil around the roots, and that can hold the plant back for weeks.
If you are repotting soon, our Repotting Guide and plant pots page are useful for sizing and material choices.
πΌ Fertilizing China Doll Plant (When and How to Feed)
How Much Fertilizer China Doll Plant Needs
China Doll Plant is a hungry grower, but it is not a heavy feeder. It wants regular support during active growth, then much less during the darker months.
Feed once a month in spring and summer with a balanced liquid fertilizer diluted to half strength. That is enough to support new growth without pushing the plant into weak, overly soft growth.
For the general feeding framework, the Houseplant Fertilizing Guide covers the basics well.
Avoid Overfeeding China Doll Plant
Too much fertilizer can make the plant grow too quickly, and fast does not always mean healthy. If the stems stretch and the leaves look pale or tired, the answer is not always more fertilizer. It is often light, watering, or root health.
Apply fertilizer only to already moist soil. Never feed a dry root ball. That is a reliable way to scorch roots, especially in a plant that already likes stable conditions.
Flush the pot with plain water every few months if you suspect salt buildup from repeated feeding. If the leaves start showing crispy tips while the soil is otherwise fine, accumulated fertilizer salts may be part of the problem.
π‘οΈ China Doll Plant Temperature Range (Ideal Indoor Temps)
Best Temperature Range for China Doll Plant
China Doll Plant likes warm indoor temperatures, ideally in the range of 65-80F (18-27C). It can tolerate slightly cooler nights, but it does not like sudden swings.
If you keep it in a room that feels comfortable to you, the plant will usually feel comfortable too, as long as the window is not leaking cold air.
The plant grows best when temperature and light are both steady. A sunny, draft-free room is much better than a bright room with wild day-to-night changes.
Drafts, Heat, and Seasonal Stress
Keep it away from AC blasts, radiators, open doors, and winter window chill. China Doll Plant often answers those stressors by dropping leaflets faster than you would expect.
Summer heat is usually less of a problem than cold air, but a hot, drying room can still cause a wilted look. If the plant is near a very hot window, watch the soil carefully and move it back if the foliage starts looking washed out.
If your indoor space gets extreme summer heat, the advice in How to Protect Indoor Plants from Summer Heat applies here too.
π¦ China Doll Plant Humidity Needs (How Much Moist Air It Wants)
Best Humidity for China Doll Plant
This is a plant that appreciates moderate to high humidity, especially indoors where heated air gets dry. Around 50 percent or higher is a good target if you can manage it.
You do not need to make the room feel tropical and wet. You just want to avoid bone-dry air for long stretches, because dry air can make leaf edges crisp and increase stress.
For a general overview, the Houseplant Humidity Guide breaks down the main ways to raise moisture around plants without creating a swamp.
How to Raise Humidity Around China Doll Plant
- Group it with other plants so they share a slightly moister microclimate.
- Use a humidifier if your home air is very dry in winter.
- Set the pot on a pebble tray, but do not let the pot sit directly in water.
- Keep the plant out of the direct blast of heaters and vents.
China Doll Plant is not a plant I would place right next to a dehumidifier. It wants moisture in the air, not a desert breeze.
Humidity Problems to Watch For
Low humidity alone usually will not kill the plant, but it can make the foliage look tired, thin, or sharp around the edges.
If the plant is also getting bright light and consistent water, it usually tolerates average household humidity reasonably well. The trouble starts when humidity, light, and watering are all off at once.
If that sounds familiar, the plant is probably reacting to more than one issue at the same time. That is common with China Doll Plant.
πΈ China Doll Plant Blooming Guide
What China Doll Plant Flowers Look Like
China Doll Plant can produce white to pale yellow flowers in nature. They are trumpet-shaped and more attractive than you might expect from a plant grown mostly for foliage.
Indoor blooming is rare, though. Most houseplant specimens are grown in conditions that favor leafy growth, not flower production. Even mature plants often stay focused on foliage inside the home.
That is not a failure. This plant is bought for its leafy architecture, and the canopy is the main event.
Can You Encourage China Doll Plant to Bloom Indoors?
You can improve the odds with strong light, maturity, warmth, and steady care, but there is no reliable home trick that guarantees flowers.
Do not cut back on water or light just to chase blooms. The plant is much better off healthy and leafy than stressed and flowerless.
If your plant does bloom indoors, treat it like a bonus. The foliage is still doing the real work.
π·οΈ China Doll Plant Types and Lookalikes

Common China Doll Plant Forms
Most plants sold as China Doll Plant are the standard green form of Radermachera sinica. Some are naturally fuller, while others are grown a bit taller and looser depending on nursery light and pruning.
You may also see younger plants sold as compact table specimens, or larger, older plants with more obvious woody stems. The care is the same, but the pruning style changes a little with age.
The genus is not as crowded in houseplant culture as ficus or schefflera, so most of the variation you will notice is in nursery training rather than dramatic cultivar differences.
China Doll Plant vs Weeping Fig, Umbrella Plant, and Money Tree
China Doll Plant is often compared with the Weeping Fig, the Umbrella Plant, and the Money Tree because all of them make good indoor trees.
- China Doll Plant: Finer texture, more delicate leaflets, and a stronger response to changes in care.
- Weeping Fig: Denser, glossier, and also prone to leaf drop when moved.
- Umbrella Plant: Broader leaves, faster visual fullness, and a more open fan shape.
- Money Tree: Braided trunks, larger leaflets, and a slightly more forgiving attitude toward inconsistency.
If you want the airiest look of the group, China Doll Plant is the one that feels most lace-like.
China Doll Plant vs Ming Aralia and Japanese Aralia
The plant also sits nicely beside Ming Aralia and Japanese Aralia in the broader indoor-tree conversation.
Those plants have a different leaf structure, but the shared theme is the same: bright light, steady moisture, and a dislike of rough handling. If you enjoy one of them, you will probably understand China Doll Plant quickly.
The difference is that China Doll Plant tends to grow faster and can become bare if conditions are inconsistent. It rewards a stable routine more obviously than a plant that grows slowly.
πͺ΄ Potting and Repotting China Doll Plant
When to Repot China Doll Plant
China Doll Plant prefers to be moved only when it actually needs the extra room. Repotting every 2-3 years is usually enough for a healthy indoor specimen.
Signs that it is time include roots poking from the drainage holes, a pot that dries much faster than usual, or growth that seems to stall despite good light and water.
Spring is the best time. The plant is already waking up, so it can recover from root disturbance more easily.
How to Repot China Doll Plant Without Shocking It
Choose a pot only 1-2 inches wider than the old one. Bigger is not better here, because excess mix around the root ball holds moisture longer than the plant wants.
Slide the root ball out gently and support the stems so they do not snap. China Doll Plant has a fine, branchy structure that can bruise if you get rough with it.
Set the plant at the same depth it was before, backfill with fresh mix, water thoroughly, and let it settle in a stable spot. Do not move it again right away unless the original location was clearly wrong.
For more repotting basics, the Repotting Guide is the right companion page.
Repotting Mistakes to Avoid
- Do not up-pot into a container that is far too large.
- Do not repot during a cold snap if you can avoid it.
- Do not let the roots dry out for long while you are working.
- Do not combine repotting with pruning, relocation, and fertilizer all at once.
This plant likes one change at a time, not a full renovation.
βοΈ Pruning China Doll Plant

How to Prune China Doll Plant for a Fuller Shape
Pruning is one of the most useful things you can do for China Doll Plant. Without it, the stems can run long and start to look sparse.
Pinch soft tips on younger plants to encourage branching. On older stems, use clean pruners to cut just above a leaf node or side shoot. The plant usually responds by pushing fresh growth below the cut.
The goal is not to make it tiny. The goal is to keep it dense, balanced, and full enough that light can still reach the inner stems.
When to Prune China Doll Plant
Late spring through summer is the easiest time because the plant is actively growing. It can heal and branch more quickly then.
You can remove yellow or damaged leaves any time of year. That kind of maintenance pruning does not need to wait for a season.
If the plant has turned into a thin, bare framework, do not be afraid of a harder cutback. It is often the fastest way to get a dense canopy again.
Pruning Tips for a Better Canopy
- Make cuts with sterile, sharp tools.
- Prune above a node so new branches have a place to form.
- Do not remove too much in one pass if the plant is already stressed.
- Keep the plant bright after pruning so new growth does not stretch.
If you are planning to propagate at the same time, save the healthy cuttings. They are useful material, not waste.
π± How to Propagate China Doll Plant

Stem Cutting Propagation for China Doll Plant
Stem cuttings are the easiest home method if you are working with softer, younger growth. Take a cutting with several nodes, remove the lower leaves, and place it in a humid, bright spot with moist rooting medium.
The cutting should be kept warm and lightly moist, not wet. A dome or clear bag can help with humidity, but you still need some air movement so the stem does not rot.
Our Soil Propagation Guide is a good match for this plant if you want a straightforward rooting setup.
Water Propagation for China Doll Plant
Water propagation can work too, especially for softer cuttings. The stem should be clean, the lower leaves removed, and the water changed often enough that it stays fresh.
Once roots are a few inches long, move the cutting into a small pot of airy soil and keep the moisture even while it adjusts.
The Water Propagation Guide is useful if you like to watch roots develop before potting up.
Air Layering China Doll Plant
Air layering is a smart option for older, woody stems that do not root as easily from a simple cutting. It lets the stem form roots while still attached to the mother plant.
That makes it especially useful when you want a fuller plant faster or when you are trying to rescue a leggy specimen without losing a mature branch.
For a more detailed method, see our Air Layering Guide. It is a strong fit for China Doll Plant because the stems can get woody with age.
Propagation Success Tips
- Take cuttings from healthy, actively growing stems.
- Use warm conditions and steady moisture.
- Do not place cuttings in harsh direct sun.
- Be patient. Woody plants often root more slowly than soft-stemmed houseplants.
If a cutting collapses, it usually needed less water and more air, not more effort.
π China Doll Plant Pests and Treatment
Common Pests on China Doll Plant
China Doll Plant can attract the usual indoor suspects, especially when it is stressed or kept in dry air.
- Spider mites: Most likely in dry rooms. Look for tiny speckling and faint webbing.
- Mealybugs: Cottony clusters in branch forks and along stems.
- Scale insects: Small brown bumps that cling to stems and leaf nodes.
- Aphids: More common on soft new growth and often show up outdoors.
- Whiteflies: Can appear if the plant is moved in and out of the house or sits near other infested plants.
For specific pest pages, the pills below cover the common treatment links without turning the page into a pest directory.
How to Treat Pests on China Doll Plant
Start by isolating the plant. Then wipe down the stems and undersides of leaves, because pests hide in the fine branching more easily than on broad-leaved plants.
A gentle shower can help knock off spider mites and aphids. For heavier infestations, insecticidal soap or neem oil usually works better, but only if you coat the plant evenly.
If the plant is already stressed by low light or bad watering, fix that too. Pests often follow weak growth.
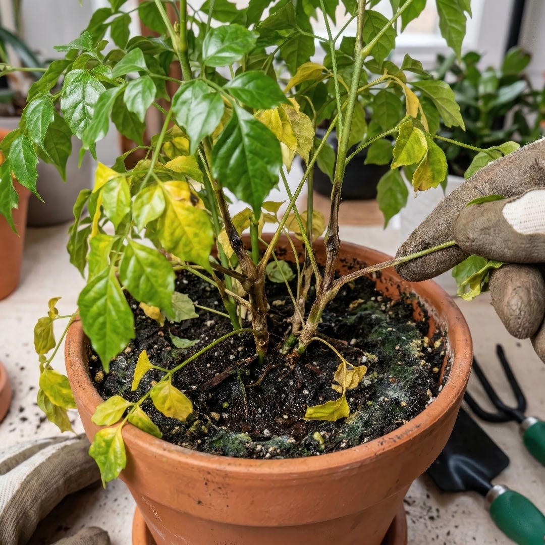
π©Ί China Doll Plant Problems and Diseases

China Doll Plant Leaf Drop Problems
Leaf drop is the issue most people notice first, and it is usually a stress response. A move, a cold draft, a big watering swing, or a shift from bright to dim light can all trigger it.
If the plant recently changed location, that alone may explain the drop. China Doll Plant often hates being surprised more than it hates a specific mistake.
- Keep the light stable.
- Keep the soil evenly moist.
- Avoid repotting, moving, and pruning all in one week.
If you want a broader explanation of the problem, the Leaf Drop page is a good reference point.
China Doll Plant Root Rot and Yellowing Leaves
Yellowing leaves usually point to overwatering, poor drainage, or roots that have started to fail. If the stems feel soft and the pot stays wet too long, root rot moves up the list fast.
When root rot is early, you may still save the plant by trimming damaged roots, refreshing the mix, and reducing water. When it is advanced, the plant may not recover cleanly.
The related pages on Root Rot, Yellowing Leaves, and Mushy Stems are the right places to go if the base of the plant feels wrong.
China Doll Plant Crispy Tips, Pale Leaves, and Leggy Growth
- Brown, crispy edges: Often dry air, underwatering, or fertilizer salt buildup.
- Pale, faded leaves: Usually not enough light, though extreme heat can also bleach foliage.
- Leggy growth: Too little light, or a plant that has not been pruned in a long time.
- Wilting even though the soil is wet: Usually a root problem rather than thirst.
If you see multiple symptoms at once, solve the base problem first. For this plant, that is usually light, water, or roots.
πΌοΈ China Doll Plant Display Ideas
Where China Doll Plant Looks Best Indoors
China Doll Plant looks best where its fine texture can breathe a little. A bright corner, a slim stand, or an open office space works better than a crowded shelf.
It is a good floor plant when it has room to rise. Younger plants also work nicely on a plant stand, where the branching shape sits at eye level.
Because the canopy is airy, a simple pot often looks better than a heavily decorated one. Let the foliage be the visual texture.
Plants That Pair Well With China Doll Plant
China Doll Plant looks especially good next to broader, heavier foliage. The contrast makes both plants stand out.
If you are building a tropical group, the China Doll Plant gives the arrangement a lighter, more delicate layer.

- Use a matte pot in white, sand, charcoal, or terracotta.
- Put it near bright natural light so the canopy stays compact.
- Avoid overly busy planters that compete with the leaf texture.
- Use it as a visual softener in rooms with hard lines and sharp furniture.
The plant does not need much decorating. It already looks refined if the care is right.
π China Doll Plant Care Tips (Pro Advice)
β Keep the plant in one bright spot. Moving it around often is one of the fastest ways to trigger leaf drop.
β Water consistently, but do not leave the pot soggy. Even moisture is the target, not wet feet.
β Prune early and often enough to stay ahead of legginess. A fuller plant is easier to keep healthy than a bare one.
β Use a moisture meter or finger test instead of watering by habit. This plant punishes autopilot care.
β If the plant is thin and weak, solve the light problem before reaching for fertilizer.
β Raise humidity in winter if your home air gets dry. The plant will usually look sharper and recover from stress more easily.
β Repot only when the roots clearly need space. A slightly snug pot is better than an oversized one.
β If the stems are getting woody, try air layering instead of relying only on standard cuttings.
β Give it a sheltered summer spot outdoors only if you can protect it from hot sun, wind, and sudden cold snaps.
β Clean the leaflets gently. Dust builds up quickly on fine foliage and makes the plant look dull fast.
β Frequently Asked Questions
Is China Doll Plant toxic to cats and dogs?
China Doll Plant is not commonly listed as a toxic houseplant in major plant references, so it is generally treated as non-toxic. That said, I would still keep it out of reach of pets that chew plants, because any foliage can cause digestive upset if eaten.
Why does my China Doll Plant drop leaves so easily?
Leaf drop is the signature complaint with this plant. It usually happens after a change in light, temperature, watering, or location. Keep the plant in one bright spot, water consistently, and avoid letting the root ball dry out completely.
How much light does China Doll Plant need?
It wants bright, indirect light for most of the day. A curtain-filtered east, west, or south window is ideal. Too little light makes the plant thin and sparse, while harsh direct sun can scorch the leaflets.
How often should I water China Doll Plant?
Water when the top 1-2 inches of soil are dry, but do not let the pot stay dry for long. The soil should stay lightly and evenly moist, not soggy. In winter, water less often, but do not let it fully desiccate.
Can China Doll Plant bloom indoors?
It can bloom in nature, but indoor flowers are rare. The plant is grown for its foliage, not its flowers. If it ever does bloom, the flowers are usually small, pale, and not the main attraction.
How do I keep China Doll Plant bushy?
Pinch new tips when the plant is young and prune back long stems before they turn bare. Give it strong indirect light and do not let it dry out too much, because stress is what usually creates the stretched, open shape.
What is the easiest way to propagate China Doll Plant?
Stem cuttings are the simplest option. Air layering is even better for woody, older stems that are hard to root. Both methods work best in warm conditions with steady humidity.
Can China Doll Plant live outdoors?
Yes, but only in warm climates and sheltered positions. It can spend summer outside in bright shade, but it must come back indoors before temperatures drop below about 55F (13C).
βΉοΈ China Doll Plant Info
Care and Maintenance
πͺ΄ Soil Type and pH: Rich, well-draining, soil-based mix
π§ Humidity and Misting: Moderate to high humidity is best, especially in winter.
βοΈ Pruning: Pinch or cut back leggy stems to keep the canopy dense and leafy.
π§Ό Cleaning: Wipe the leaflets gently with a damp cloth or give the plant a light shower to remove dust.
π± Repotting: Every 2-3 years, or when roots fill the pot.
π Repotting Frequency: Every 2-3 years
βοΈ Seasonal Changes in Care: Reduce watering in winter, but do not let the root ball dry out completely.
Growing Characteristics
π₯ Growth Speed: Fast
π Life Cycle: Perennial
π₯ Bloom Time: Spring to summer; indoor blooming is rare
π‘οΈ Hardiness Zones: 10-12
πΊοΈ Native Area: Southern China and Taiwan
π Hibernation: No, but growth slows in winter
Propagation and Health
π Suitable Locations: Bright living rooms, offices, sunrooms, and sheltered patios in warm weather
πͺ΄ Propagation Methods: Stem cuttings and air layering are the most practical home methods.
π Common Pests: Spider Mites, Mealybugs, Scale Insects, Aphids, Whiteflies
π¦ Possible Diseases: Leaf drop, root rot, spider mites, and scale can become problems
Plant Details
πΏ Plant Type: Broadleaf evergreen tree
π Foliage Type: Evergreen
π¨ Color of Leaves: Glossy dark green
πΈ Flower Color: White to pale yellow
πΌ Blooming: Rarely blooms indoors
π½οΈ Edibility: Not edible
π Mature Size: 4-6 feet indoors
Additional Info
π» General Benefits: Fast indoor screening plant, fine-textured tropical foliage, good fit for bright rooms
π Medical Properties: None known
π§Ώ Feng Shui: The upright, branching form is often associated with upward movement and steady growth.
β Zodiac Sign Compatibility: No widely recognized association
π Symbolism or Folklore: Resilience, progress, and fresh growth
π Interesting Facts: China Doll Plant has bipinnate leaves, which means each leaf is divided into leaflets and then divided again. That delicate structure is part of its charm, but it also means the plant reacts quickly when conditions change. In the right bright spot, it can put on a lot of growth in a short time.
Buying and Usage
π What to Look for When Buying: Choose a plant with dense green foliage, short internodes, and several healthy growing tips. Avoid plants with long bare stems, yellow leaves, or a pot that is still wet for days after watering.
πͺ΄ Other Uses: Useful as a bright office tree, a sunroom accent, or a patio container that can be moved indoors before cold weather.
Decoration and Styling
πΌοΈ Display Ideas: Floor plant in a bright corner, elevated pot on a stand, office statement plant, or paired in a tropical grouping.
π§΅ Styling Tips: Its airy foliage looks best against simple pots in white, clay, charcoal, or matte black. It also contrasts well with broad-leaved plants like the Weeping Fig and Money Tree.
π References βΌ
π¬ Community
Start the first discussion.
Ask about Complete Guide to China Doll Plant Care and Growth
Ask a question or share what worked for you.
Log in to post.
Logged in as Member.
Log in to post your comment
Your draft stays here. Choose a sign-in method below.
Use Google or email. Your draft stays on this page.
